売地
| 価格 |
360万円 | 交通 | 長崎本線 「佐賀」駅 徒歩93分 |
|---|---|---|---|
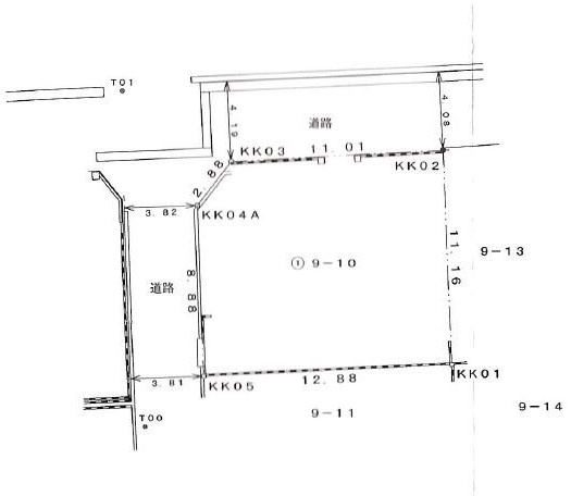
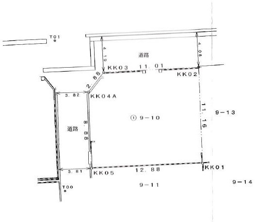
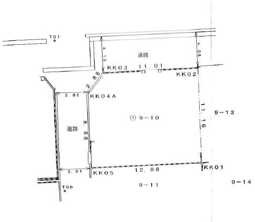
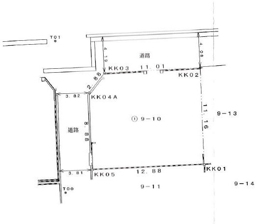
| 土地面積/坪数 | 141.10㎡ / 42.68坪 | 所在地 | 佐賀県佐賀市蓮池町大字蓮池 9-10 |
| 建ぺい率 | 60% | 容積率 | 100% |
「利回り」は、当該不動産の1年間の予定賃料収入の不動産取得対価に対する割合であり、公租公課その他当該物件を維持するために必要な費用の控除前のものです。
また、予定賃料収入が確実に得られる事を保証するものではありません。

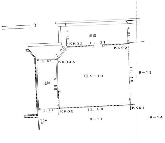
42.68坪の北西の角地です。蓮池小学校まで徒歩9分と子育てにも便利なところです。東側は太陽光を設置されてますので陽当たりのいい土地です。

※地図上の物件位置は近隣に物件が所在することを表すものであり、実際の物件所在地とは異なる場合がございます。
0952-20-1212
営業時間:10:00~18:00 / 定休日:水曜日、お正月休、お盆休、社内研修日(不定期)
| 所在地 | 佐賀県佐賀市蓮池町大字蓮池 9-10 | ||
|---|---|---|---|
| 交通 | 長崎本線 「佐賀」駅 徒歩93分 | ||
| 価格 | 360万円 | 坪単価 | 8.43万円 |
| 土地面積 | 141.10㎡ | 建築条件 | 無 |
| 土地権利 | 所有権 | 建ぺい率/容積率 | 60%/ 100% |
| 私道負担面積 | セットバック | ||
| 接道状況 | 角地 (北側 公道4.0m) (西側4.0m) | ||
| 地目 | 宅地 | 地勢 | |
| 土地の権利形態 | 開発面積 | ||
| 都市計画 | 市街化調整区域 | 用途地域 | 指定なし |
| その他法令上の制限 | |||
| 国土法届出 | 不要 | 取引態様 | 一般媒介 |
| 現況 | 更地 | 引渡し | 相談 |
| 設備条件 | 公共下水 / 公営水道 / プロパンガス | ||
| その他条件 | 仲介手数料:33万円 | ||
| 備考 | ・確定測量済・上下水道あり ・文化財包蔵地に含まれますので届出が必要 | ||
| 周辺の学校 | 芙蓉小学校(約713m / 徒歩9分)、芙蓉中学校(約745m / 徒歩10分) | ||
| 物件番号 | 46689255 | ||
| 情報公開日 | 2025年11月11日 | 次回更新予定日 | 2025年11月24日 |
| 取引条件の有効期限 | 2025年11月24日 | ||
| 取扱い会社 |
TOMカンパニー株式会社 〒840-0801 佐賀県佐賀市駅前中央2丁目9-7ホワイトビル1F・2F 佐賀県知事(8)第1876号 佐賀県宅地建物取引業協会会員 全国宅地建物取引業保証協会会員 |
||
0952-20-1212
営業時間:10:00~18:00 / 定休日:水曜日、お正月休、お盆休、社内研修日(不定期)
| 所在地 | 物件の住所を表示。(詳細住所は表示していない場合もある) | ||
|---|---|---|---|
| 交通 | 物件(部屋)の沿線駅・バス停を表示。(複数駅・バス停の利用が可能な場合は最大3件まで) | ||
| 間取り/詳細 | 数字は居室数を表示。LDKはそれぞれ「リビング」「ダイニング」「キッチン」、S(納戸)とは「納戸」「サービスルーム」「マルチルーム」「フリールーム」など建築基準法第28条に適合していないため、居室と認められない納戸その他の部分を表す。 | ||
| 価格 | 販売されている住戸の価格を表示。仲介手数料は含まない。 | ||
| 管理費 | 共同住宅の設備その他共用部分の維持および管理をするために必要な費用を表示。 | ||
| 修繕積立金 | 共用部分の修繕のために積立てる金額を表示。 | ||

【外観】